10월12일 신흥호 우럭 조황 . 좋아요!
페이지 정보

본문
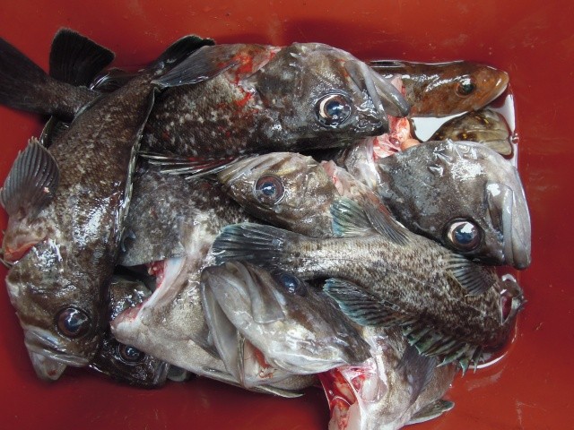
신흥호 조황입니다.
-
등록된 이미지가 없습니다.
- 이전글10월15일 신흥호 우럭조황.. 25.10.17
- 다음글10월11일 신흥호 우럭 조황...좋아요! 25.10.11
댓글목록
등록된 댓글이 없습니다.
등록된 댓글이 없습니다.